
👓アリさんの飼育を始めたよ。虫嫌いな人はごめんね。(^^;
唐突ですが、10数年ぶりに蟻の飼育に挑戦しています(笑)。
アリは子供の頃からカブトムシやクワガタ以上に一番好きな虫で、大人になって知識を付けてから女王アリの飼育に挑戦したのですが、その時はうまく行かず…。
そして今年何故かアリ熱が再燃してしまい、久々に再挑戦してみようとなりました。
多分ぷちぐるちゃんがサービス終了したりで、心に空いてしまった穴を埋めようとしてるのかも…?('∀`)
今まではガシャポン戦士改造メインのブログでしたが、これからはサブコンテンツとして、アリさんの飼育日記を書いていこうと思っています。
それに伴い、ブログ名を微妙に変更(笑)。
全滅させないようにがんばります。(;´▽`)
それでは、現在飼育している子たちを紹介していきます。

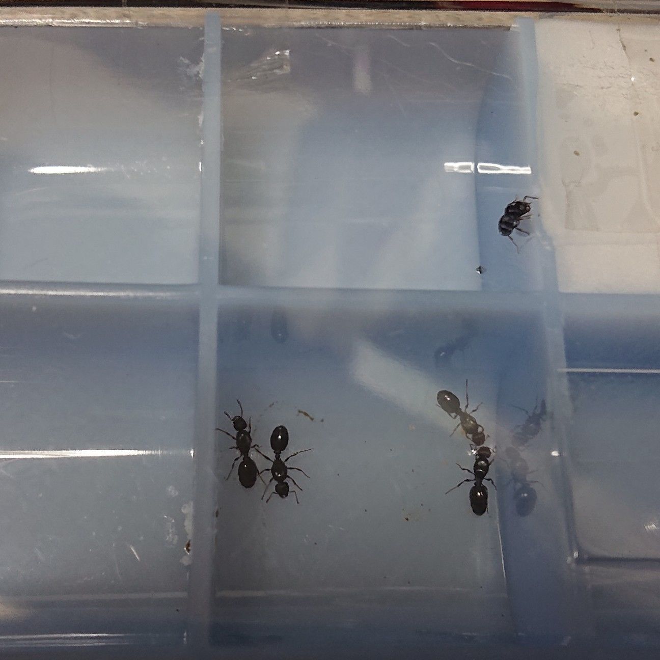
クロヤマアリ(2019.05.22〜)
何故か飛行シーズンよりやや早めに飛んでいた女王様を偶然確保。
クロオオアリ探してたら偶然見つけてしまって。(^^;
ただ今回、ワーカー二匹を狭いケースで匂いを付けて同居させるという、ちょっと邪道な飼い方をしています。(;´▽`)
そのせいなのかわかりませんが、卵を産んでも食べてしまうのか、中々コロニーが育ちません(汗)。

クロオオアリ(2019.05.24〜)
1センチ近くあるメジャーワーカーの迫力と、知らない人が見たらアリに見えないんじゃないかと思うくらい巨大な女王の存在感に惚れ込み、子供の頃からずっと私の一番好きなアリです。U^q^U
今年は私の地元ではあまりクロオオアリの飛行が行われなかったようで、未交尾と思しき女王が多く、失敗を恐れてこの子もワーカーと同居させる邪道飼育です。(;´▽`)
今思うと、ちゃんと自然なやり方で飼えば良かったなあ…まあメジャーワーカーが好きだからというのもあったのですが。U´^ェ^`U

女王「腹ん中がパンパンだぜ」
クロヤマは難航していますが、こちらは現在では繭が3つ出来ており、順調です。

トビイロシワアリQ5(2019.06.27〜)
Q8だったのですが、どんどん減っています…(汗)。
落ち着かずにケース内で単独行動をとってる女王ほど逝ってしまうので、なんか訳があるのかしら。
小型のアリは脱走が怖いのであまり飼育したくなかったのですが、トビシワはクロオオの次に好きなアリなので、特別に(笑)。
他雌というのも面白いですしね。

トビイロケアリ、アメイロケアリ(推測)、クサアリモドキ多層コロニー(2019.07.01〜)
トビイロケアリ新女王にそこらへんで拾ったワーカー、そしてトビイロケアリの巣を乗っ取るというアメイロケアリとクサアリモドキの新女王を同居させた実験コロニーです。(;´▽`)
ワーカーも女王たちも意外と喧嘩もせず仲良くしていましたし、これはどの女王が覇権を握るのか…と期待していましたが、日が経つにつれワーカーと寄生種の女王が次々と逝ってしまい、現在はトビイロケアリ女王単独になってました…(;´Д`)
まあ自然環境とは大幅に条件が異なるので、寄生種がダメだったのはわかるのですが、何故ワーカーまで全滅してしまったんだろう…トビケ女王が無事なので、ケースの環境が悪いわけではなさそうなのですが…。
…とまあ、マトモな状況で飼われてるのがトビイロシワアリのみという異常な状況ですが、頑張って育てて行こうと思います。(;´▽`)